El Gobierno de Asturias adjudica la redacción del proyecto de remodelación del enlace de Roces entre la ASII y la A8, en Gijón
-
La elaboración de los trabajos tendrá un plazo de ejecución de 5 meses y supondrá una inversión de 57.553 euros
-
La actuación está incluida en el acuerdo suscrito por el Principado y el Ministerio de Transportes para mejorar la conectividad entre la red de carreteras del Estado y la autonómica
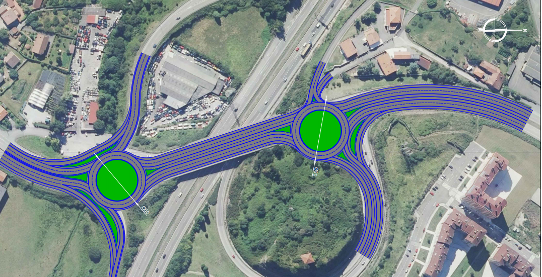
La Consejería de Fomento, Cooperación local y Prevención de Incendios ha adjudicado por 57.553 euros los trabajos de redacción del proyecto para remodelar el enlace entre la AS-II y la A-8 a la altura de Roces, en Gijón. La empresa Antea Iberolatam ha sido la adjudicataria de los trabajos, que contarán con un plazo de ejecución de cinco meses.
La redacción de este proyecto forma parte de los acuerdos suscritos entre el Principado y el Ministerio de Fomento en 2019 para realizar los estudios necesarios que permitan definir y construir las actuaciones pertinentes para mejorar la conectividad entre la red de carreteras del Estado y la autonómica en la zona central de Asturias. Dentro de ese protocolo también se encontraba la redacción del proyecto del enlace de Robledo por parte del Ministerio de Transportes y Movilidad Sostenible, actualmente en fase de evaluación ambiental.
La adjudicación incluye la redacción del proyecto de trazado, que debe ser sometido al trámite de información pública, y la del proyecto constructivo, al que se deberán incorporar los cambios adoptados en la tramitación previa.


